40 mq
1
1
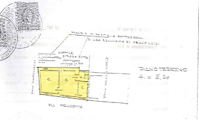
Coazze B.ta Trucetto | Appartamento piano terra in casetta indipendente
In tranquilla borgata, a pochi minuti dal centro di Coazze, proponiamo piccolo Appartamento al piano terra di una casetta indipendente.
L'immobile è composto da:

40 mq
1
1